自然がくれる感動を、未来にも残したい
ー 自然保護の取り組み ー
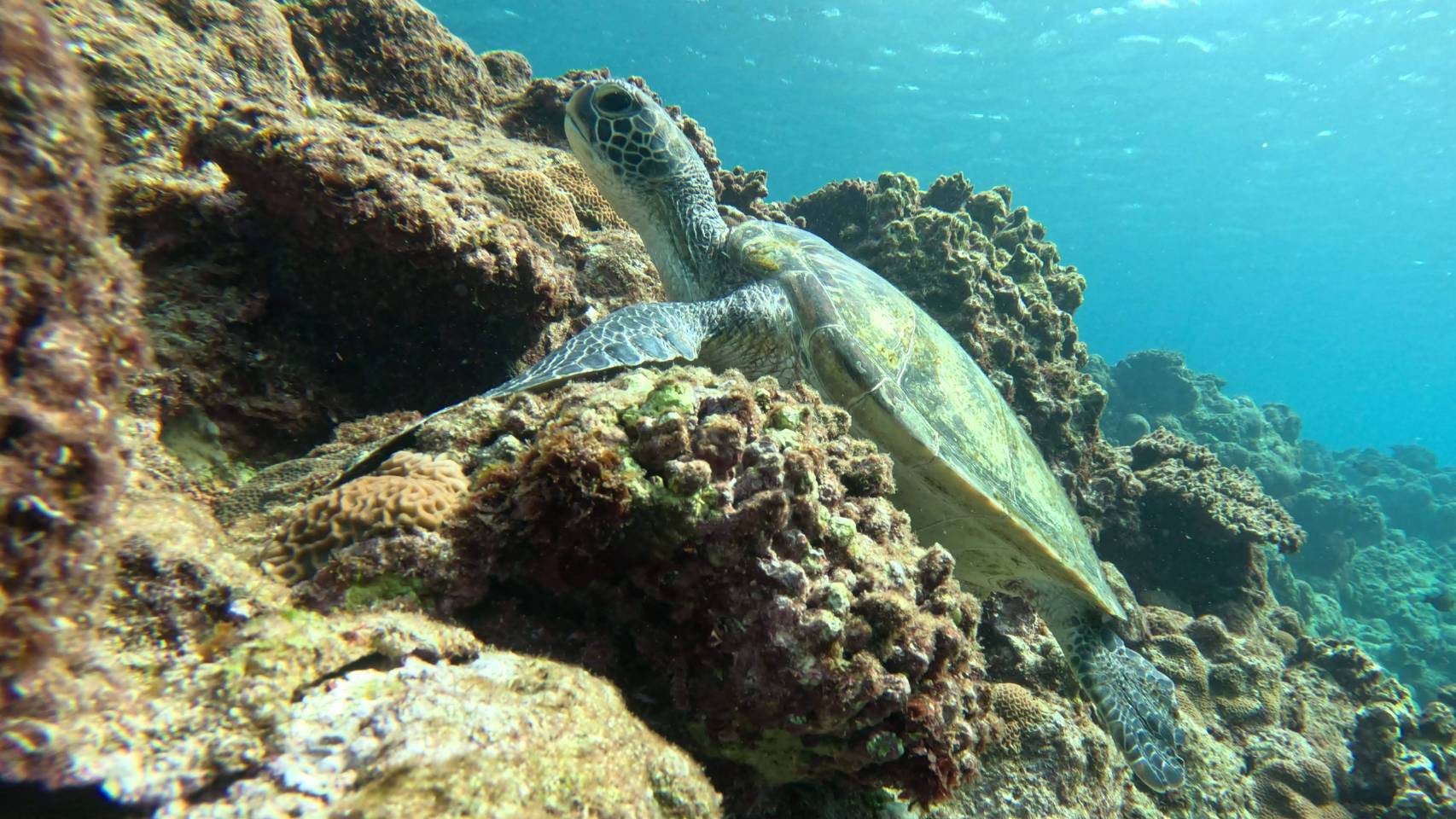
透き通った青い海。白い砂浜と、波打ち際に並ぶきれいな貝殻。
そして海の中を覗けば、魚たちが群れで泳ぎ、ふと横を見ればウミガメがゆっくりと近づいてくる。
まるで映画のワンシーンのようですが、それがfeel itでご案内している沖永良部島の景色です。
「きれいだった」
「楽しかった」
「また来たい」
そう言っていただけるたびに、私たち自身もこの島の自然からたくさんの感動をもらっています。
でも、感動する景色のすぐそばに、気になる現実もあります。
それは、流れ着いた漂着ゴミの数々。

一見きれいに見えるビーチにもマイクロプラスチックが紛れ、台風や北風が吹き荒れた後にはたくさんのゴミが溜まってしまうこともあるのです。
また、海中に漂うビニールを、餌と間違えて食べてしまうウミガメもいます。
そんな現実に触れるたび、胸が痛みます。
「こんなに心を豊かにしてくれる海や生き物たちに、何もしてあげられないままでいいの?」

この素晴らしい景色を、ちゃんと未来まで残したい。
生き物たちが安心して暮らせる海を守りたい。
そんな想いで、feel itは自然保護活動に取り組んでいます。
ビーチクリーンは島と地球への恩返し
feel itは、島の自然の美しさに支えられているお店です。
海がきれいだから、お客様をご案内できる。
ウミガメがいてくれるから、忘れられない体験が生まれる。
この自然があるからこそ、お客様の笑顔にできる喜びがある。

だから私たちは、ウミガメたちや沖永良部島の大自然に、少しずつでも恩返しをしていきたい。
そんな想いで、ビーチクリーンを続けています。
一度で大きく変えることはできなくても、できることを続けることはできる。
その積み重ねが、未来の景色を守る力になると信じています。
「想い」だけで、終わらない
沖永良部島には、個人でも団体でも、積極的にビーチクリーンに取り組む方がたくさんいらっしゃいます。
feel itでも、地域の各団体と連携するほか、環境省による奄美群島国立公園の利用促進や自然啓蒙活動、持続可能なビーチクリーン活動の考案にも協力しています。

どうしたら継続的に、無理なく続けられるのか。
どうすれば海の環境や生き物たちを守れるのか。
「大切に想うだけ」で終わらずに、「大切にし続ける」。
自然を大切にしたいみなさんと、一緒に考え、一緒に続けていける形を目指しています。
「楽しむこと」と「守ること」の両方を大切に
自然保護は、正しさや義務感だけではなかなか続きません。
きっと「好きだからこそ」「楽しいからこそ」、大切にしたいと思えることもあるはずです。
feel itでは、遊びながらできるゴミ拾いや、おもしろいビーチクリーン企画、研修向けのプログラムなどもご相談いただけます。
ご興味のある方は、どうぞお気軽にお問い合わせください。

また、ツアーにご参加いただいた方に、状況に応じて任意で10分ほどのビーチクリーンにご協力をお願いすることがあります。
海で泳いだあと、帰る前に少しだけ足元に目を向ける。
たった1つでもペットボトルを拾う。
それだけでも、環境にとってはやさしい一歩につながっています。
ご協力はもちろん任意ですが、一緒に拾っていただけたら、とても嬉しいです。
もしゴミを拾う時間がなくても
ツアーに参加する方の中には、漂着ゴミを見て「もっと時間があれば拾いたいんだけど…」と言ってくださる方もいらっしゃいます。
でも、せっかく旅行にきてずっとビーチクリーンをしているだけでは勿体ないですし、私たちとしても、お客様にたくさんの思い出ができることは心からの願いです。

私たちは、
「日常の中で、できることをする」
「時々ウミガメたちのことを思い浮かべる」
「選べるなら、環境にやさしい商品を選ぶ」
など、無理のないスタイルで自然保護活動に協力していただけることも、とても大切なことだと思っています。
島に来る前でも、帰った後でも。
今できることには、何がありそうですか?
沖永良部での体験が、それを考える1つのキッカケになれば嬉しいです。
